Příběhy Pralinka
Společný příběh nás a buldočky Pralinky začal 11.3. odpoledne, kdy nám byla dovezena z množírny nacházející se na Brněnsku. Za dalekou cestu pro pejska děkujeme paní Boženě Espinoze. Už na první pohled bylo patrné, že tento pejsek se opravdu netěšil kdo ví jaké péči svých majitelů. Cestou ze svého původního "domova" zracela v autě zrní a slámu...
11.3. 2011
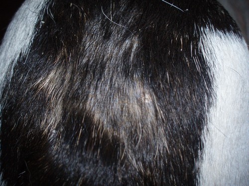
Pralinka má na těle vylysalá místa, je hubená, hladová. Jídlo hltá až se dáví. Pro normálního člověka je téměř neuvěřitelné, že před námi stojí ani ne rok a půl starý pejsek...vytahané cecíky, výživový stav, ...
Srst se dá vyčesat doslova po trsech. Na očičku jsme si všimli malého útvaru. Další podězřelou věcí bylo zvracení a až nezvykle silné dávivé chrochtání.
Takže druhá Pralinky cesta autem za tento den směřovala rovnou na veterinu pana MVDr. Lázničky. Byla panem doktorem prohlédnuta a bohužel zjištění nebylo potěšující.
Prvním problémem je velice zvětšená slezina, která ji tlačí na žaludek a močový měchýř. Kvůli tlaku sleziny na žaludek má Pralinka sem tam nutkání na zvracení. Zatím je toto řešeno pomocí ATB Ciplox.
Jako druhý problém se jevil malý útvar v očičku, jde však již o úraz staršího data, který měl být léčen v době kdy se to přihodilo. Nyní už to není možné, ale Pralinku to nijak neomezuje a jelikož je útvárek schován pod dolním víčkem, ani to nepůsobí nějak ošklivě.
Jako další je nyní v léčení i Pralinčična kůže, místy má úplně vylysalá zarudlá místa. Veterinář udělal stěry a zaslalke kultivaci. Zatím byla ošetřena pipetou Advocate, má vodičku Batrafen na potírání vylysalých míst.
Snad už posledním, ale velikým problémem je, že Pralinka má místo nosních dírek jen úzké štěrbinky a velmi zvětšené měkké patro, v důsledku čehož nemůže pořádně dýchat. Velmi ji to omezuje a zatěžuje. Je to aktivní pejsek, chce běhat a hrát si, ale kvůli tomuto ani pořádně nemůže. Tento problém naštěstí lze řešit operativně plastikou nosu a měkkého patra...tato operace je nezbytností pro její další spokojený život.
Je skoro zázrak, že Pralinka při všech těchto zdravotních problémech vydržela až dosud. Nyní je naším hlavním cílem dát ji do kupy, musí přibrat a doufejme, že výsledky stěrů budou dobré a kůže se zahojí. Jakmile schopna operace, bude nezbytné řešit její dýchací potíže a současně s tím bude vykastrována abychom předešli jejímu dalšímu zneužití pro zisk. Faktury ze zákroků a Pralinčiny léčby budou zveřejňovány v tomto článku.
Faktura z prvního vyšetření ZDE
Prosíme pomozte Pralince aby mohla být hned jak to její zdravotní stav dovolí operována a mohla konečně dovádět celé dny a nemusela se již nikdy dusit. Můžete ji velmi pomoci zasláním byť i drobné částky na účet č.: 242380050/0300
Na Pralinčinu léčbu přispěli (postupně budeme doplňovat seznam dárců a nascanované faktury z Pralinky ošetřeních)
- paní Kateřina Pejšová (400Kč)
- Václav a Eva Velinští (200Kč)
- paní Ivana Szmeková (500Kč)
- anonymní dárce (500Kč)
- paní Michaela Nevrlová (200Kč)
- Giblovi (200Kč)
- paní Zdeňka Karešová (500Kč)
- paní Martina Zemanová (200Kč)
- paní Vanda Doudová (1000Kč)
- paní Martina Horáková (300Kč)
- pan Jan Lhotka (300Kč)
- pan Milan Šebesta (2000Kč)
- paní Iva Cigánková (1000Kč)
- paní Tereza Felklová (100Kč)
- paní Alena Sodomková (200Kč)
- paní Hana Tesařová (250Kč)
- paní Lucia Filová (500Kč)
- paní Nicole Kramešová (150Kč)
- paní Jindra Jansová (300Kč)
- paní Petra Jakubovová a pan Michal Hroneš (200Kč)
- anonymní dárce (100Kč)
- paní Renata Hradilová (300Kč)
- paní Jana Brožová (100Kč)
- pan Tomáš Jakubov a paní Tereza Koutná (200Kč)
- pan Martin Haering (300Kč)
- pan Pavel Jakubov (300Kč)
- paní Růžena Podskalská (200Kč)
- paní Lucie Dušková (500Kč)
- pan Milan Kořen (300Kč)
- paní Martina Hubová (1000Kč)
- pan a paní Kolískovi (5000Kč)
VELMI DĚKUJEME VŠEM DÁRCŮM ZA PODPORU PŘI ZÁCHRANĚ PRALINKY. ANI NEDOKÁŽEME VYJÁDŘIT JAK MOC SI VAŠÍ POMOCI VÁŽÍME. VYBRALA SE NEUVĚŘITELNÁ SUMA, KTERÁ JISTĚ POKRYJE KOMPLETNÍ PRALINČINU LÉČBU A OPERACI.
Pokud by ošetření Pralinky nepokrylo celou vybranou částku, zbylé peníze (pokud dárci nebudou mít námitek) budou využity na kompletní veterinární ošetření pejsků, kteří přijdou do naší péče.
Pralinka je veliký mazlík a kamarádka s každým, takže pokud chcete, můžete ji přijet navštívit a pomazlit.
Tak v takovéto výživné kondici je necelý rok a půl stará fenečka...

Kožní problém, který je naštěstí řešitelný pomocí ATB, speciální mastičky a pipety


Toto se nám z Pralinky podařilo po koupeli vyčesat...

A takto vypadají cecíčky 1,5 roku staré buldočky z množírny...je toto vůbec možné?!

12.3. 2011
Pralinka je zlatíčko. Doma je klidná, tichoučká a hodná. venku je radostná, vyskakuje na člověka a chce se pořád mazlit. Zamilovala si pískací žirafu :-), nejvíce ze všeho jí chutnají piškůtky a tavený sýr. Je šikovná, na zavolání přibíhá, nechá si obléknout bundičku a po příchodu domů utřít pacičky.

14.3. 2011
Pralince se celý den ztěžka dýchalo, bylo vidět, že je něco v nepořádku, proto jsme jeli na veterinu na další prohlídku a kontrolu. Bohužel opět tuhle malou placatku nečekaly dobré zprávy. Pralinka byla 2x rentgenována, pan doktor poslechl srdíčko, jak dýchá, prohmatal a prohlédl. Pralinka má bohužel nějaký stín na plicích a v hrtanu...dostala další léky - DoxyHEXAL, Spersadex na uvolnění dýchacích cest a ještě sirup, který musí polykat a vůbec jí nechutná.
Další den budeme Pralinku pozorovat zda se jí trochu ulevilo.
16.3. pojedeme opět na veterinu, bude nutné Pralinku přispat a pan doktor se podívá jaký problém je na plicích a v hrtanu.
Pokud by se její zdravotní stav vyvíjel dobře, mohla by být snad v průběhu dalšího týdne operována - plastika nosních dírek a měkkého patra aby se jí lépe dýchalo a nedusila se.
Pralinka je opravdu zlatíčko,všechna vyšetření snáší bez problému, na veterině se naštěstí vůbec nebojí, dokonce tam sama přijde i na volno až do ordinace. Naštěstí je to pozitivně smýšlející pejsek, je veselá a chová se jako zvědavé štěňátko.
Faktura z vyšetření ZDE
při velkém rozrušení jako je hra či radost z procházky má Pralinka nutkání na zvracení...
Pralinky dýchání již další den po vyšetření a s užíváním léků
16.3. 2011
Pralinka navštívila opět veterinární ordinaci.
Bylo provedeno kontrolní sonografické vyšetření, slezina se zatím nezmenšuje a bohužel ani ke zmenšení dojít nemusí, ale Pralinku to nijak neohrožuje, jen může stále cítit v bříšku napětí z tlaku sleziny na žaludek a močový měchýř. Tlak na žaludek vyvolává nutkání na zvracení při rozrušení.
S panem doktorem jsme opět konzultovali Pralinčin rentgen z něhož byly patrné stíny na plicích a v hrtanu, které by mohli způsobovat její dušnost. Celkově je dýchací trubice velmi úzká. Kvůli zjištění o co jde v hrtanu, bylo s přispáním provedeno endospopické vyšetření, kdy v hrtanu je jakýsi výrustek, který Pralinku stále dráždí, což vede k pokašlávání. Zatím na tento problém dostala další léky - Sporanox. Po dvoutýdenní kůře je možné, že by se výrustek pokud by byl mykotického původu vstřebal, pokud ne, bude odoperován při operaci měkkého patra.
Pralinka byla po celou dobu vyšetření moc hodná, držela a ještě se chtěla mazlit a šmejdit po ordinaci. Pokud se vše bude vyvíjet dobře, za dva týdny - po dobrání Sporanoxu a kontrolním endoskopickém vyšeření by mohla být operována. Původně byla operace naplánována na dřívější dobu, ale pro Pralinčično dobro se ji pan doktor rozhodl odložit.
Faktura z vyšetřeníZDE
20.3. 2011
Dnes se na Pralinku byly podívat první zájemkyně a pokud vše dobře dopadne, měla by po operaci a doléčení jet domů...
23.3. 2011
O víkendu byla Pralinka poprvé na návštěvě ve svém budoucím domově. Strávila tam celé nedělní odpoledne, byla šťastná a s paničkou se mazlila. Líbila se jí i její budoucí psí smečka složená též ze zachráněných pejsků. Doma se hned usadila na posteli a šťastně se rozvalila. Dnes jela na další návštěvu aby si postupně zvykala a tentokrát už samotná, tak jsme zvědaví jak to zvládne...
Pralinčina kůže se zdá být už lepší, stále sice nehorázně líná, ale už není tak zarudlá. Na zadečku se zdá, že roste už nová srst, na krku zatím ne.
Jedny ATB už Pralinka dobrala, další bude mít poslední prášek zítra ráno. Sponarox bude užívat až do pondělní operace a kontrolního endoskopického vyšetření.
30.3. 2011
Pralinka dnes byla kontrolně vyšetřena a poté operována. Zatím je ještě u pana veterináře na pozorování, ale doufáme, že již od zítřejšího večera se bude zotavovat u nás. Držte prosím palečky ať holčička vše zvládne. Brzy budou přidány Pralinčiny fotky po operaci, faktura ze zákroku a jeho podrobnější popis.
31.3. 2011
Dnes jsme Pralinku konečně přivezli "domů". Pralinka vše zvládla bez problémů, operace prý měla hladký průběh a i po ní vše vypadá v pořádku. Pralinka je vzorný pacient, naštěstí si rány nelíže ani nedrbe a odpočívá. Je zatím trošičku rozlámaná, přeci je toho bylo hodně. Několik dní bude brát ATB a jíst jen konzervičky aby nedošlo k poškození operovaného patra.
Velmi děkujeme panu MVDr. Lázničkovi za operaci Pralinky, kterou provedl nejen výborně, ale i za velmi shovívanou cenu vzhledem k počtu a náročnosti zákroků.
Pralinka má zmenšené měkké patro, mělo by se jí tedy o poznání lépe dýchat, již by se neměla dusit a konečně bude moci běhat bez omezení. Dále jí byla provedena plastika nosních direk, kdy nyní má konečně nosík jako ostatní pejsci - tedy laicky řečeno má do nosu normální dírky a ne jen úzké štěrbinky, které jí nedovolovaly pořádně se nadechnout, musela se tedy dodechovat tlamičkou, což ale například při jídle nebo když si něco nesla v pusince, nebylo možné.
Po výrustcích v hrtanu nebylo ani památky, zabrala na ně ATB a problémy ustaly.
Dále byla Pralinka vykastrována aby byla ušetřena další narkozy. Hlavním důvodem pro její kastraci pro nás bylo zabránění dalšímu krytí jak ze zdravotních, tak i morálních důvodů. Ale nakonec se při kastraci ukázalo, že tento zákrok byl více než nutný, protože Pralinky domnělé hárání nebylo háráním, ale na děloze měla jakési 4 krvácející váčky utvořené v důsledku nedávného porodu či potratu. Proto jí byli odňaty nejen vaječníky, ale i děloha. Jizvička tedy bude o něco větší než při běžném zákroku.
Pan doktor Pralinku ještě kompletně vyšetřil a nyní je podle něho z Pralinky poměrně zdravý pejsek. Samozřejmě objevit se může časem cokoliv, ale v současné chvíli její velké problémy byly operativně vyřešeny, něco se vyřešilo medikací a problémy s kůží začínají odeznívat díky kvalitnímu krmení a čistému prostředí. Slezina je zvětšená stále, ale je možné, že se trochu stáhne. Zbytněla v reakci na infekci šířící se Pralinčiným tělíčkem, proto je nyní možné, že i problémy, které zvětšená slezina způsobuje, by mohly časem odeznít.
Faktura ze zákroku ZDE
Naštěstí byl zákrok proveden za opravdu dobrou cenu díky čemuž se na Pralinku vybralo více peněz než bylo nakonec potřeba, proto pokud by někdo chtěl peníze zaslat zpět, prosím kontaktujte nás. V případě, že to dárcům nebude vadit, použijeme zbylé peníze na zvířátka, která se dostanou do naší péče - kompletní očkování, odčervení, pipeta, kastrace + případné další veterinární ošetření.
1.4. 2011
Z Pralinky je děsný čmuchal
. Najednou si užívá čenichání a poznávání toho, co dříve cítila asi jen trošičku. Má pořád nosík u země a čte psí smsky. Po operacích je úplně v pohodě, je veselá, chce si hrát - ovšem zatím smí jen s mírou a chviličku a ne s tvrdými hračkami aby si nepoškodila patro.
Zatím bude papat jen konzervy, rozmáčené granulky a za odměnu rozmáčené piškůtky. Jakmile je ale chvilku bez dozoru, samozřejmě si chce papulku nacpat vším co se kde válí, tak je třeba ji hlídat.
Pralinka má daleko lepší srst než při příchodu, holé místo na zadečku je již zcela zarostlé, velká lysina na krku pomalu zarůstá také. Stále dost líná, ale chlupy již nepadají po trsech.

Pralinka už po operaci
Pralinky nosánek po plastice...Pralinka se nyní dychtivě učí číst po psím a pořád čenichá. Konečně má nosní dírky a ne jen štěrbinky, které jí nedovolovaly pořádně dýchat. 

Pralinčino bříško po kastraci - jizvička je kvůli komplikaci s dělohou větší než bývá obvykle


3.4. 2011
Dnes přesouváme Pralinku do té nekrásnější rubriky a to do "Našli domov". Pralinka včera k večeru odjela do nového domova. Přesun pro ní naštěstí neznamená velký stres, protože tam již byla 3x na celý den aby si postupně zvykala. Své paničky hned po jejich příjezdu k nám bouřlivě vítala a to ještě asi ani netušila, že už s nimi bude napořád
.
První noc nespala samozřejmě nikde jinde než s novou paničkou v posteli spolu ještě s druhou buldočkou. Pralinka má totiž nových kamarádů hned několik - labrouška z útulku, kříženou kokřici a buldočku Bucinku, která byla zachráněna paničkami ze sklepní množírny, kde žila celý svůj život. Bohužel na rozdíl od Pralinky je Bucinka velmi psychicky poznamenaná, ač pokroky během roku v nové rodině udělala značné, velmi jí nyní pomohl i příchod Pralinky a její předchozí návštěvy. Začíná si totiž díky Pralince hrát a pořádně se mazlit.
Brzy nám snad přijdou i nějaké fotečky pro potěšení všech, kteří Pralinčin příběh sledovali. Pralinku můžeme i často vídat, bydlí ani ne 500m od nás
.
3.4. 2011
Pralinka dnes byla s novou rodinou na vyndání stehů. Budou nadále chodit k panu doktorovi, kde byla Pralinka léčena od začátku. Vše je naštěstí v pořádku, pan doktor Pralinku obdivoval, ani by jí prý nepoznal jak se dává do pořádku a je krásná! Zatím nechceme ještě dělat Pralince v hlavičce zmatky, ještě pár dní počkáme, ale pak se na ni půjdeme podívat a potěšit se pohledem na ni.
Do nové rodinné smečky prý báječně zapadla, je neuvěřitelný mazlík a divoch. Paničky jsou z ní nadšené a Pralinka je snad už konečně šťastný pejsek, který má to nejdůležitější - lásku, domov a snad už i zdraví.
Jak se Pralinka má dále se můžete dočíst ve zprávách z nových domovů 
Komentáře
Přehled komentářů
Smutny pribeh, pri kotrom citani som si poplakala, ale ma nadherny konirc..vlastne novy krasny zaciatok pre Pralinku:)
Drzim jej i novej rodine palce a tym, co zachranuju a chrania prajem len pekne konce pre ich zvieracich zverencov, malo zlych ludi okolo a vela dobrych a laskavych naokolo
pralinka
(kristýna, 16. 7. 2011 8:57)smutný příběch a chudák pralinka ale je to mooooc krásná fenka
Pralinka
(Renata, 16. 7. 2011 6:33)Smutný příběh,ale nakonec s krásným koncem.Přeji Vám hodně pevných sil,vidět zubožené pejsky není nic pěkného,když je člověk vidí jen na fotkách a nebo na videích je hrůza a já se na to vůbec už nekoukám.Jste neuvěřitelně laskaví vůči zvířátkům a takových lidí by mělo být víc.Pralince přeji jen radostné chvíle ať se holčička drží-DÍKY ZA NI.......
úžasný
(Helena, 12. 6. 2011 22:33)Úžasný příběh, málo co dočtu až do konce. Máte můj obdiv a smekám. Takových lidí jako vy by mělo být víc.
Pralinka
(Růžena, 4. 4. 2011 15:12)To je úžasné,Pralinko hodně štěstí do nového života!!!!!
Vzalo mě to!
(goldenegg drusilla, 4. 4. 2011 10:41)
Čtu celý příběh, divám se na fotky a videa, vše je ve mně sevřené a brečím a brečím. Teď již štěstím, protože vše dobře dopadlo a maličká Pralinka má příjemný domov.
Snad konečně již pro ni skončilo všechno to zlé a čeká ji jen hezký psí život. Moc jí to přeji.
Pralinka
(Zdena, 24. 3. 2011 14:15)Psala mi moje známá, že též má takto z množírny zachráněnou buldočku. Měla úplně stejné problémy, jako Pralinka. Srst prý dali dohromady přísnou dietou. Též je po několika operacích a nyní již žije krásným kvalitním životem. Kdyby to pomohlo, mohla bych vám na ni dát kontakt, třeba ohledně té diety.
Pralinka
(Aja, 17. 3. 2011 14:42)Dovolila jsem poslat nabídku na stránku FB...Je tam více...je nstručně zde:Nabízím kompletní vyšetření na klinice Praha-Hroměřice.Jsou tam odborníci zvl. na tyto ,,ploché" čumáčky různýc hras...Výhoda je ta,že je ihned RTG,sono,laborka komlet do 30 min.Jezdíme tam s naším 15-letým pejskem,je též týraný a byl v útulku cca 3 roky...Uhradím...Aja a Toník.
Re: Pralinka
(Naděje pro čtyři packy, 18. 3. 2011 19:35)
Poslali jsme Vám zprávu na FB. Děkujeme za pomoc.
Re: Pralinka
(Naděje pro čtyři packy, 18. 3. 2011 19:34)Moc děkujeme, velmi si vážíme toho kolik lidí se rozhodlo pomoci. Vámi zaslaná částka pokryje minimálně jeden z úkonů při operaci.
milujem buldocky
(Lucia, 15. 3. 2011 14:23)Dobry den, strasne mi je tej malinkej luto, sama mam buldocka z utulku,asi v jej veku, vyzera ako jej rodny brat- dokonca ma rovnako vyfarbenu hlavicku aj s tym bielym pasikom. Je to hrozne,aka obrovska je ludska krutost a necitlivost. Poslem jej peniazky, prosim Vas, davajte jej co najviac lasky sa da. Keby mozem, hned si ju vezmem, ale zial, studujem v Prahe, takze stale pendlujem medzi SR a CR, takze som rada,ze sa rodicia staraju o toho nasho milacika. Drzim moc palce a budem cakat na dalsie spravy!
Pralinka - poděkování
(Naděje pro čtyři packy o.s., 14. 3. 2011 19:18)
Moc děkujeme všem, kterým není příběh této šmudlinky lhostejný. Ona je i přes to vše co musela vydržet neuvěřitelně srdečný a bezprostřední pejsek, lidi miluje - dokonce je odchytává a skákáním se dožaduje pohlazení :-).
Má tolika trápení a je přitom pořád pozitivně naladěná, veselá, raduje se ze všeho, když jde ven, když se vrací domů, jen na ni člověk promluví, z hraček,...
Dnes je to bohužel opět na veterinu, tak držte prosím palečky ať je to jen planý poplach a slyšíme i hezké zprávy...
Pralinka
(Martina, 14. 3. 2011 19:05)Děkujeme za to co jste pro ni udělali, dnes posíláme penízky.
Pralinka
(Tereza, 14. 3. 2011 13:23)Chuderka mala kdybych mohla hned bych si ji vzala... Preji Pralince brzke uzdraveni... Urcite poslu nejakou tu korunu na jeji zachranu
Podakovanie za Pralinku
(Blanka, SK, 4. 6. 2012 18:54)